面向材料性能需求的MLDS 01材料逆向设计系统,为材料研发领域中,多目标性能难以同步提升的痛点问题,提供高效解决方案。 基于内置的成分-工艺与性能间的内禀关系模型,操作人员仅需简单地提出所需的目标性能,即可快速生成满足多目标性能的成分-工艺设计方案。
北京云智材料大数据研究院 北京科技大学
2025.05.06
面向材料性能需求的材料逆向设计系统MLDS,为材料研发领域中,多目标性能难以同步提升的痛点问题,提供高效解决方案。 基于内置的成分-工艺与性能间的内禀关系模型,操作人员仅需简单地提出所需的目标性能,即可快速生成满足多目标性能的成分-工艺设计方案。
MLDS 01材料逆向设计系统是一款面向性能需求的材料逆向设计系统,旨在实现多目标性能导向下,高性能复杂材料的成分与工艺快速设计优化。通过该系统,研发人员能够快速、科学、准确地获得满足多目标性能的材料成分与工艺的推荐设计方案。以下是系统的功能操作步骤:
第一步:注册/登录,用户名:6-18位字符,密码为:6-18位字符。

第二步:点击创建一个新任务,进入数据选定页面,填写任务名称选定数据来源选项(平台在线数据、软件专题数据、用户本地数据、用户上传数据、在线融合数据)。

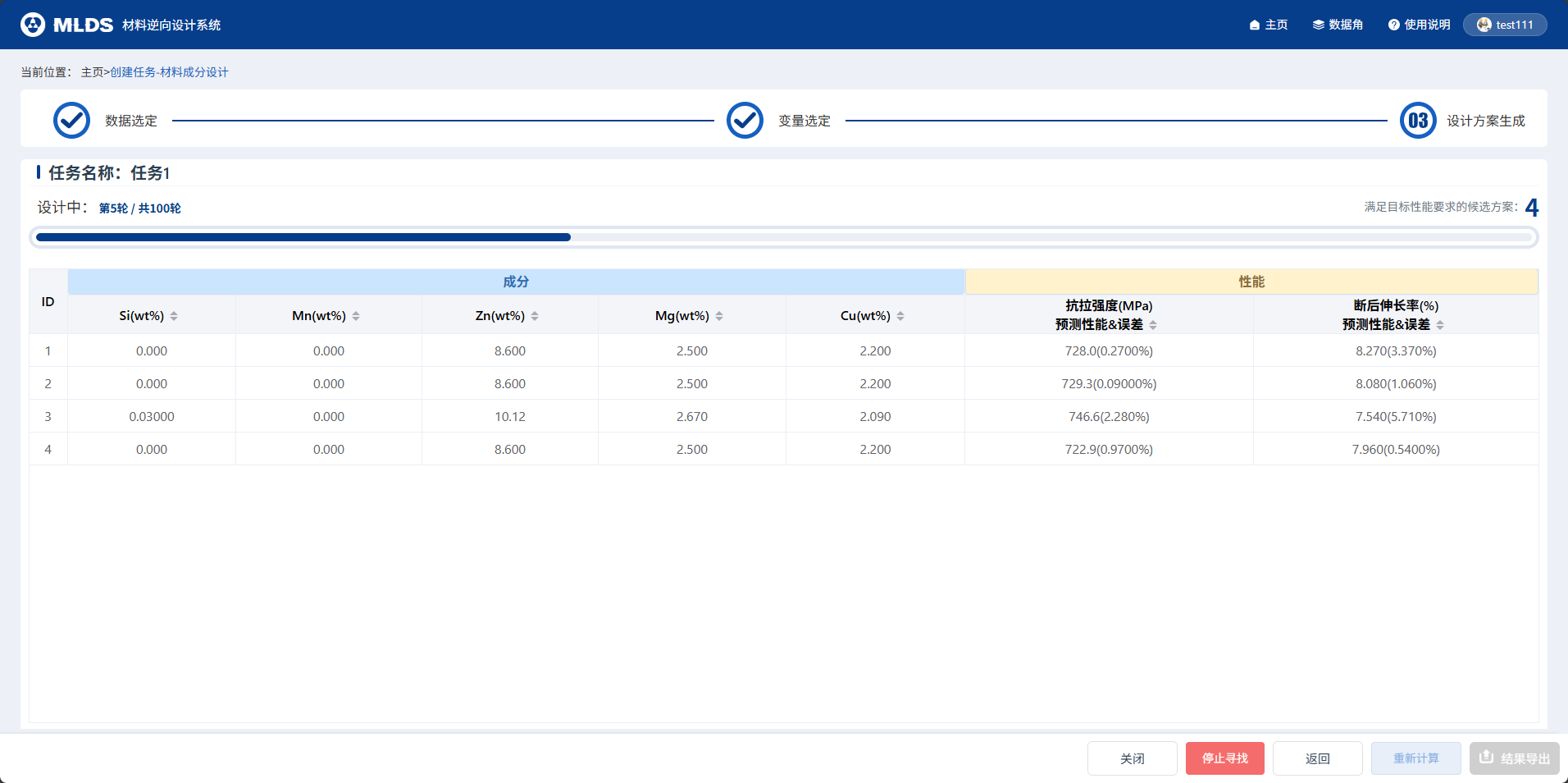
第三步:在数据集选定后,用户可确定成分变量,并选定性能目标值及设计允许误差。点击结果确认按钮后,系统对输入内容进行校验,若存在错误需给出提示信息,直至用户修改通过校验。

第四步:变量设定完毕后,点击下一步,系统通过多轮迭代生成满足目标性能的成分方案。过程中用户可随时点击 “停止寻找” 按钮终止方案生成,也可点击 “重新计算” 按钮重新生成方案,点击 “结果导出” 按钮导出设计结果。

本数据产品基于以下研究成果开发:
L. Jiang, C.S. Wang, H.D. Fu, J. Shen, Z.H. Zhang, J.X. Xie. Discovery of aluminum alloys with ultra-strength and high-toughness via a property-oriented design strategy[J]. Journal of Materials Science & Technology, 2022, 9833-43.
C. Wang, H. Fu, L. Jiang, D. Xue, J. Xie. A property-oriented design strategy for high performance copper alloys via machine learning[J]. Npj Computational Materials, 2019, 5.
原文链接:
https://www.nature.com/articles/s41524-019-0227-7

请您先登录
